Ovo je riba iz roda Trachurus, podporodice Caranginae, porodice Carangidae, nadporodice Percoidea, podreda Percoidei, reda Perciformes, nadreda Acanthopterygii.

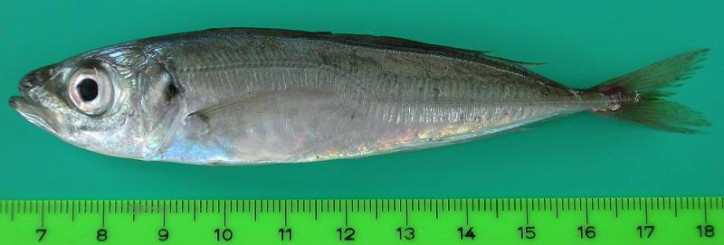
(Šarun / šnjur / sarun / širun. Foto © Mariano García Rodríguez. fishbase.org)
Šaruna / šnjura / saruna / širuna (Trachurus trachurus) je prvi opisao 1758. švedski prirodnjak Karl fon Line (Carolus Linnaeus, 1707-1778).
Ovo je pelagička, priobalna vrsta. Formira velika jata iznad pješčanog dna. Nastanjuje dubine do 1050 metara, a obično od 100-200 metara. Maksimalna zabilježena dužina je 70 centimetara, a češće se mogu sresti primjerci do 30 centimetara. Maksimalna težina je 2 kilograma. Hrani se ribom, rakovima i glavonšcima.

(Šarun / šnjur / sarun / širun. Foto © Akın Türker İlkyaz. ilkyaz.eu)
Stalan je stanovnik Jadranskog mora.
Ime šaruna / šnjura / saruna / širuna (Trachurus trachurus) na drugim jezicima:
Atlantic horse mackerel, Common scad (engleski), Stavrida atlantike (albanski), Атлантическо-средиземноморски сафрид (Atlantichesko-sredizemnomorsri safrid) (bugarski), Horsmakreel (holandski), Γκριζοσαύριδο (Grizosavrido) (grčki), Trakhon gedol magen (hebrejski), Jurel (španski), Suro (italijanski), Bastardmakrele (njemački), Ostrobok pospolity (poljski), Carapau-branco (portugalski), Обыкновенная ставрида (Obyknovennaja stavrida) (ruski), Šur (slovenački), Karagöz istavrit (turski), Chinchard d’Europe (francuski).